İŞYERİ
İLKADIM / SAMSUN
1,200,000 TL


Gayrimenkul NO: 2731
NO 2731
NİTELİK İŞYERİ ara
KUL. DURUMU Boş
HİSSE Tamamı
SATIŞ BEDELİ 1,200,000 TL
TEMİNAT DEĞ. 60,000 TL
İL SAMSUN ara
İLÇE İLKADIM
MAHALLE SAİTBEY
PAFTA F36B22B1A
ADA 445
PARSEL 41
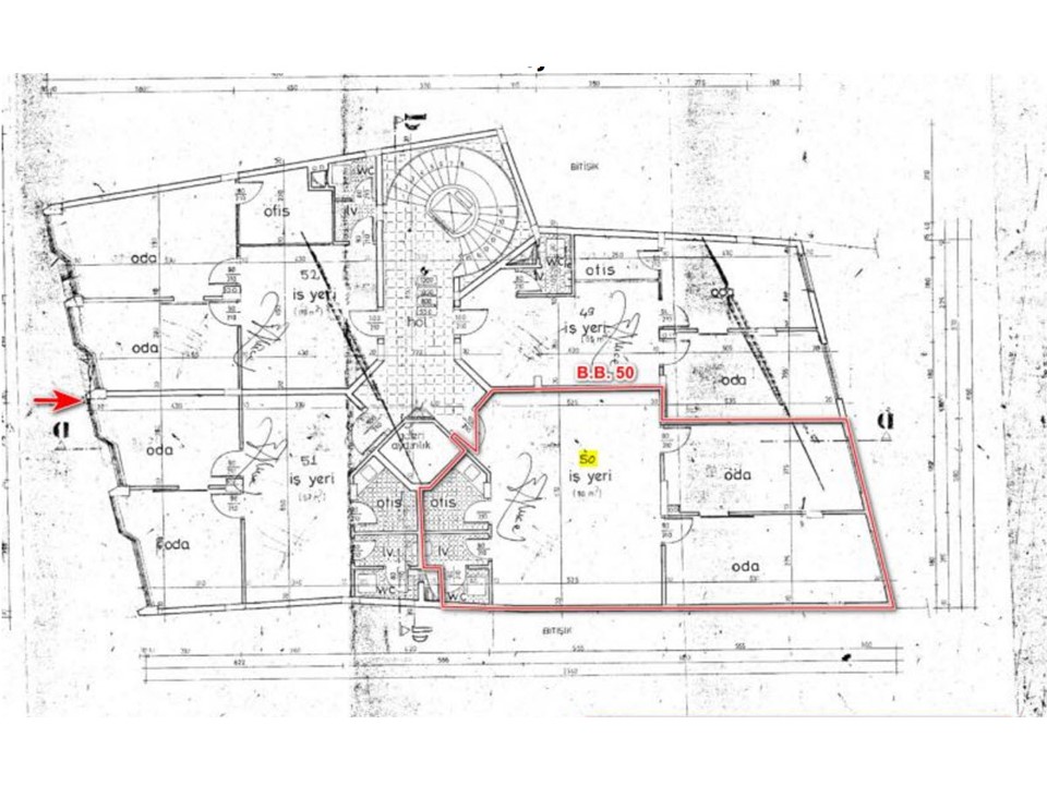
BAĞ. BÖL. 86 m2
BAĞ. BÖL. NO 50
ADRES SAİTBEY MAH. BAĞDAT CAD. NO:34 BAĞDAT İŞ HANI KAT:3 İÇ KAPI NO:50 İLKADIM konum


  • Açıklama
Gayrimenkul binanın 3.katında kuzeybatı cepheli işyeridir. Mimari projesine göre; 2 oda, ofis, wc ve lavabo hacimlerinden oluşmaktadır.


    • Konum/Harita


Önemli Uyarı: "Banka, gayrimenkulleri MEVCUT DURUMLARIYLA satışa sunmaktadır. Müflis Asya Katılım Bankası A.Ş tarafından verilen tüm bilgiler resimler, açıklamalar, koordinat bilgileri ve basında, internette yayınlanan her türlü ilanlar (satış listesi, başlangıç bedeli, tanıtım metni, gazete ilanı, internet, afiş vb.) taahhüt niteliğinde olmayıp genel bilgi niteliğindedir. Ayrıca Müflis Asya Katılım Bankası A.Ş’nin gayrimenkul fiyatlarında değişiklik yapma hakkı saklıdır. Teklif sahipleri, gayrimenkulü mevcut durumu ile (hasar, hisse, kiracı, işgal, şufa hakkı, sit, imar, ruhsat, iskan, konum, alan, tapu vb. bilgileri ile elektrik, su, doğalgaz, telefon, emlak vergisi, çevre temizlik vergisi, aidat, ruhsat, iskan, altyapı, otopark ve diğer bilimum harçları, borçları, bilimum şerhler, ayıp, eksik vb. durumları ile) görmüş, beğenmiş, gayrimenkul ile ilgili resmi kayıt ile tapu kayıtları dâhil her türlü inceleme ve araştırmayı yapmış ve kabul etmiş sayılacaktır. Mahallinde ve resmi makamlar veya kayıtlara ilişkin her türlü incelemenin yapılmış olması Müşteri’nin sorumluluğundadır. Müflis Asya Katılım Bankası A.Ş.’den gayrimenkulün kusurlarının giderilmesi için herhangi bir itiraz veya talepte bulunulamaz. Gayrimenkulün fiili durumuyla Banka tarafından verilen bilgilerin farklı olması halinde Banka’nın herhangi bir yükümlülüğü bulunmayacaktır. Müşteri, bu hususu kabul etmiş sayılır."

TEKLİF İÇİN HEMEN ARAYIN

İlandaki satış tutarları ilgili gayrimenkule teklif gelmesi durumunda güncellenecektir.
Satış tutarında oluşacak değişikliklerden dolayı Bankamızın sorumluluğu bulunmamaktadır.


0 216 250 15 15

gayrimenkul@bankasya.com.tr

Teklif ve Satın Almak İçin Tıklayın